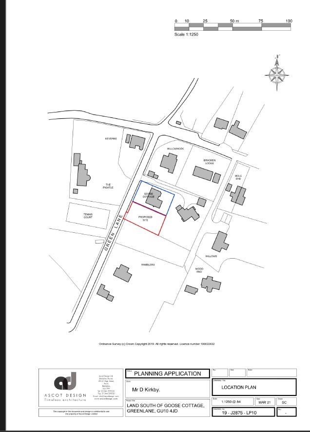
PROPERTY LOCATION:
KEY FEATURES:
- Investment land with 21.87 metre frontage
- total of 0.173 acres
- level plot
- mains water connected to site
- mains sewerage connected to site
- popular location
- electricity in road
- amenity land for variety of uses for leisure and recreational
PROPERTY DETAILS:
Planning ref: WA/2021/01853 – WA/2022/02045 – WA/2023/02444A small parcel of interesting investment land with a 21.87 metre frontage. In total 0.173 acres.A nice level plot with mains water and sewerage connected to the site. Access is off Green Lane. The plot is fenced on all sides. It is an ideal tucked away location with immense potential. A significant planning history applies to this land and it has recently had an appeal refused for a caravan pitch. However, with changing policies and pressure on housing, we consider the land will at some stage have potential for residential development subject to the necessary consents.Viewings can be undertaken at any time at interested parties leisure.Please direct all enquiries to Mark Steward at Clarke Gammon mark.steward@clarkegammon.co.uk. tel: 01428 664800.






